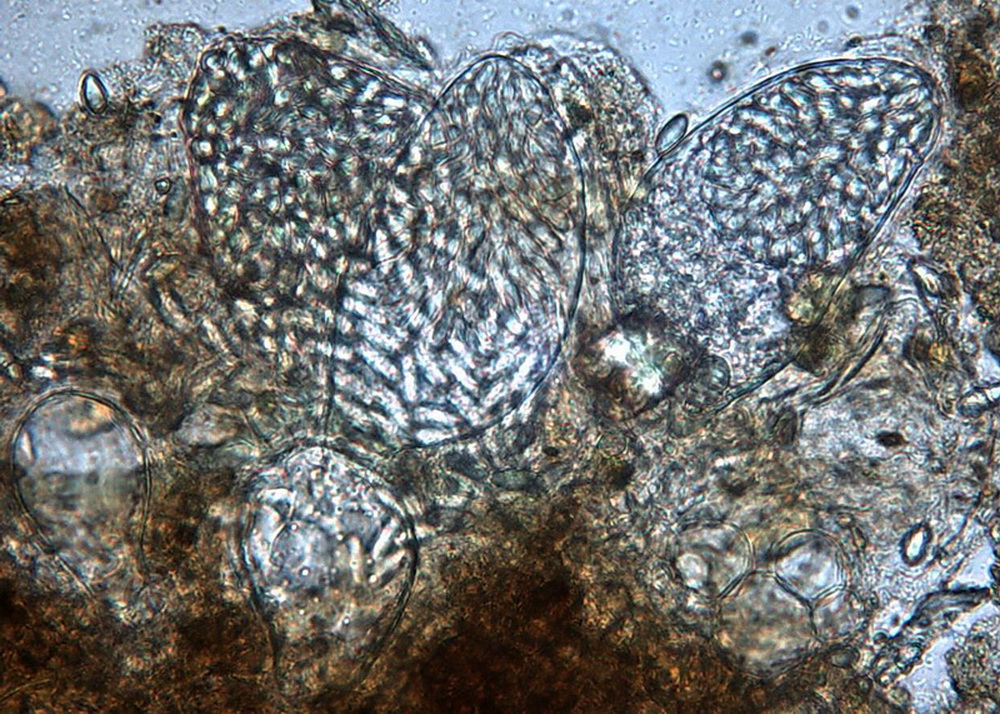
Ascozonus monascus
Ascozonus monascus Brumm. & M.J. Richardson, Persoonia 17(3): 487 (2000)
Ascozonus monascus Brumm. & M.J. Richardson, Persoonia 17(3): 487 (2000)
.
.
Gefunden: am 03 bis 04.02.2016 in MTB 4804/2 Mönchengladbach auf Kaninchendung
Asci: 60 -110 x 30 - 56 µm, Sporen: 8,4 - 8,8 x 3 - 3,3 µm
leg. H.Bender, det. H.Bender
Asci: 60 -110 x 30 - 56 µm, Sporen: 8,4 - 8,8 x 3 - 3,3 µm
leg. H.Bender, det. H.Bender




