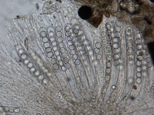
Cheilymenia stercoraria
Cheilymenia stercoraria (Velen.) J. Moravec, Mycotaxon 38: 475 (1990)
Cheilymenia stercoraria (Velen.) J. Moravec, Mycotaxon 38: 475 (1990)
wäre wohl ein Erstnachweis für Deutschland
Gefunden: 04.09.2022 auf Wildscheindung, vom 10.08.2022 Depot MTB 4702/2
leg. H.Bender, det. H.Bender, rev. Uwe Lindemann
leg. H.Bender, det. H.Bender, rev. Uwe Lindemann














