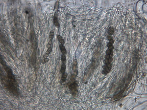
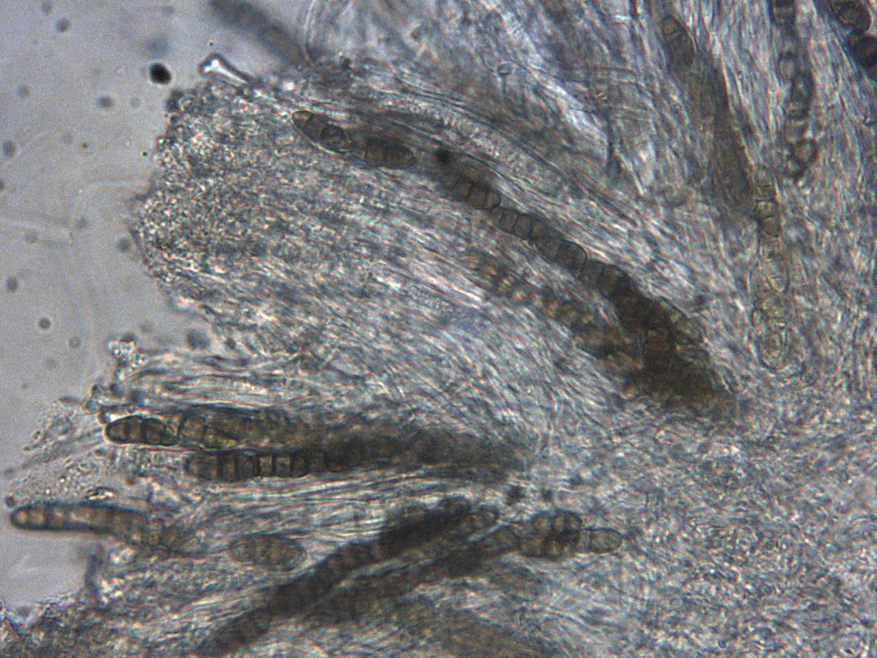
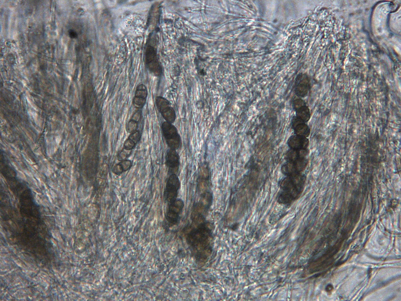
Magnibotryascoma melanommoides (Jaklitsch, Friebes & Voglmayr) Tennakoon & K.D. Hyde, in Tennakoon, Jeewon, Thambugala, Gentekaki, Wanasinghe, Promputtha & Hyde, Fungal Diversity: 10.1007/s13225-021-00492-8, [26] (2021)
= Teichospora melanommoides Jaklitsch, Friebes & Voglmayr, in Jaklitsch, Olariaga & Voglmayr, Mycol. Progr. 15(no. 31): 11 (2016)
Gefunden: am 14.11.2024, in Mönchengladbach, MTB 4804/2, Geistenbecker Berg, an abgebrochenen Ästchen von Salix.
leg. H.Bender, det. H.Bender
leg. H.Bender, det. H.Bender

















