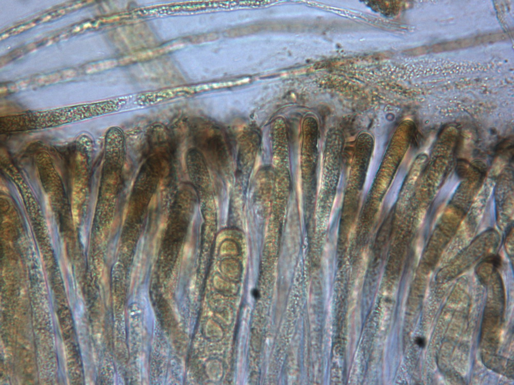
Psilopezia nummularia
Psilopezia nummularia Berk. [as 'nummularis'], London J. Bot. 6: 325 (1847)
Gefunden: am 05.07.2019 in Mönchengladbach MTB 4804/2,
auf liegendem, morschen, feuchtem, bemoosten Erlenstamm in Bachnähe.
leg. H.Bender, J.Maassen, det. H.Bender
PS: Zotto danke ich für den zielführenden Hinweis.
auf liegendem, morschen, feuchtem, bemoosten Erlenstamm in Bachnähe.
leg. H.Bender, J.Maassen, det. H.Bender
PS: Zotto danke ich für den zielführenden Hinweis.












