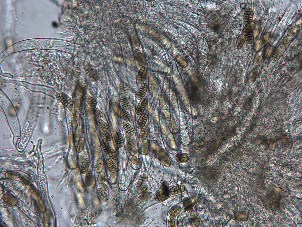
Cucurbitaria obducens
Cucurbitaria obducens (Schumach.) Petr., Annls mycol. 25(3/4): 226 (1927)
= Praetumpfia obducens (Schumach.) Jaklitsch & Voglmayr, Sydowia 69: 91 (2017)
Cucurbitaria obducens (Schumach.) Petr., Annls mycol. 25(3/4): 226 (1927)
= Praetumpfia obducens (Schumach.) Jaklitsch & Voglmayr, Sydowia 69: 91 (2017)
.
.
Gefunden: am 30.04.2020, Mönchengladbach (Hoppbroich) MTB 4805/1, auf Salix
leg. H.Bender det. H.Bender
leg. H.Bender det. H.Bender








