"Coprinellus parvulus"
Coprinellus parvulus (P.-J. Keizer & Uljé) Házi, L. Nagy, Papp & Vágvölgyi, in Házi, Nagy, Vágvölgyi & Papp, Mycol. Progr. 10(3): 367 (2011)
= Coprinus parvulus P.-J. Keizer & Uljé, in Uljé & Keizer, Persoonia 18(2): 281 (2003)
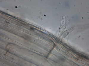
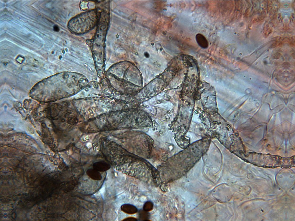
Cheilo- und Pleurocystiden konnten (in diesem Reifezustand) nicht mehr festgestellt werden
Gefunden: um Hesel (Norddeutschland) vom 09 - 22.09.2018 in MTB2611/4 auf Kuhdung
und am 03.11.1998, MTB 4804/2 Mönchengladbach (Volksgarten)
leg. det. H.Bender
und am 03.11.1998, MTB 4804/2 Mönchengladbach (Volksgarten)
leg. det. H.Bender
Eine frühere Beschreibung von Coprinus velox Godey sensu Locquin könnte sogar auf C.parvulus zutreffen, da aber die Urbeschreibung im Nachhinein so vieldeutig war und zu Fehldeutungen führte, wurde diese Art als ein Nomen dubium (lat. für: „zweifelhafter Name" abgelegt.
Literatur: Wildervanck 1965
Literatur: Wichansky 1966
In einem Aufsatz zu Psathyrella tenuicula (Remarks by Larsson & Örstadius, 2008) wird Coprinus parvulus zu Psathyrella tenuicula gestellt.
Psathyrella tenuicula is here treated in a broad sense including P. minima (Peck 1888), P. berolinense (Gerhardt 1978), P. coprinoides (Delannoy et al. 2002), P. granulosa (Arnolds 2003), and Coprinus parvulus (Uljé & Keizer 2003).
In der Beschreibung zu C.parvulus wird schon anfangs erwähnt, daß es sich dabei um eine sehr kleine schnell zerfließende Art handelt.
Die Bemerkung bei Larsson, daß bei dieser Coprinusart einige Abgrenzungen nicht aussagekräftig sind und bei Psathyrellen auch vorkommen, läßt aber nicht den Schluß zu, eine von einem Coprinusexperten (Uljé) eindeutig als eine zerfliessende Coprinus-Art bestimmtes Taxon zur Gattung Psathyrella zu transferieren, auch wenn die Mikromerkmale ähnlich sind.
Bei diesem Fund vom 22.09.2018 könnte ich mir die von Uljé & Keizer als Coprinus parvulus bestimmte Art eher vorstellen.
Leider passt aber auch hier nicht alles, so daß es am wahrscheinlichsten erscheint hier neue Art vor uns zu haben.
















