Peziza flavida
Peziza flavida (W. Phillips) M.M. Moser ex D.C. Pant, in Pant, J. Mycopathol. Res. 31(1): 22 (1993)
= Aleuria cerea var. flavida (W. Phillips) Boud., Hist. Class. Discom. Eur. (Paris): 44 (1907)
= Peziza micropus var. flavida W. Phillips, Man. Brit. Discomyc. (London): 64 (1887)
.
.
.
Erstnachweis für NRW, 4 Fund für D.
Gefunden: am 16.11.2019, in MTB 4803/3/3 Wildenrath in Anpflanzung von Nordmanntannen, auf mageren Boden mit Holzteilchen.
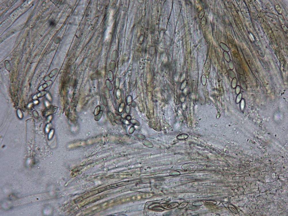
Die Sporengröße variierte je nach Reifegrad in einem größeren Bereich!
In dem Formenkreis um P.varia, P.cerea und P.micropus gibt es eine Art, die schon makroskopisch durch ihre gelbliche Färbung auffällt.
Sie hat schon Boudier dazu bewogen, ihr eine eigene Farbtafel zu widmen (1907/Pl. 260). In seiner Anmerkungen hierzu vermutet er bereits, dass es sich hier um eine eigenständige Art handeln könnte.
Erstmalig beschrieben hat den Pilz W.Phillips (1887) in seinem "Manual of the British Discomycetes" als Peziza micropus var. flavida und vermerkt dazu:"This differs from the type species in being less furfuraceous externally, a brighter colour (decidedly yellow), not pallid-fuliginous, and having sporidia rather longer (19x8µm). On decayed wood."
Die anderen Arten in diesem Formenkreis werden in der Literatur mit anders strukturiertem Querschnitt beschrieben, (Excipulum mehrschichtig, mit deutlicher mittlerer Textura intricata) und auch die Aussenbekleidung besteht sowohl aus rundlichen wie auch zylindrischen Zellen. Die Sporenform scheint bei ihnen meistens breiter oval zu sein.
In der Arbeit von Hansen et al. (2002) über die phylogenetische Diversität innerhalb der Gattung Peziza wird P. flavida leider nicht behandelt.
Mittlerweile wird die hier vorgestellte Art sowohl vom Index Fungorum als auch von MycoBank als eigenes Taxon geführt.
Als solches ist es auch in Mykis zu finden.
leg. J.Maassen, det. H.Bender, rev. K.Wehr
Die Sporengröße variierte je nach Reifegrad in einem größeren Bereich!
In dem Formenkreis um P.varia, P.cerea und P.micropus gibt es eine Art, die schon makroskopisch durch ihre gelbliche Färbung auffällt.
Sie hat schon Boudier dazu bewogen, ihr eine eigene Farbtafel zu widmen (1907/Pl. 260). In seiner Anmerkungen hierzu vermutet er bereits, dass es sich hier um eine eigenständige Art handeln könnte.
Erstmalig beschrieben hat den Pilz W.Phillips (1887) in seinem "Manual of the British Discomycetes" als Peziza micropus var. flavida und vermerkt dazu:"This differs from the type species in being less furfuraceous externally, a brighter colour (decidedly yellow), not pallid-fuliginous, and having sporidia rather longer (19x8µm). On decayed wood."
Die anderen Arten in diesem Formenkreis werden in der Literatur mit anders strukturiertem Querschnitt beschrieben, (Excipulum mehrschichtig, mit deutlicher mittlerer Textura intricata) und auch die Aussenbekleidung besteht sowohl aus rundlichen wie auch zylindrischen Zellen. Die Sporenform scheint bei ihnen meistens breiter oval zu sein.
In der Arbeit von Hansen et al. (2002) über die phylogenetische Diversität innerhalb der Gattung Peziza wird P. flavida leider nicht behandelt.
Mittlerweile wird die hier vorgestellte Art sowohl vom Index Fungorum als auch von MycoBank als eigenes Taxon geführt.
Als solches ist es auch in Mykis zu finden.
Klaus Siepe danke ich für die Ausarbeitung der Literaturhinweise
leg. J.Maassen, det. H.Bender, rev. K.Wehr











