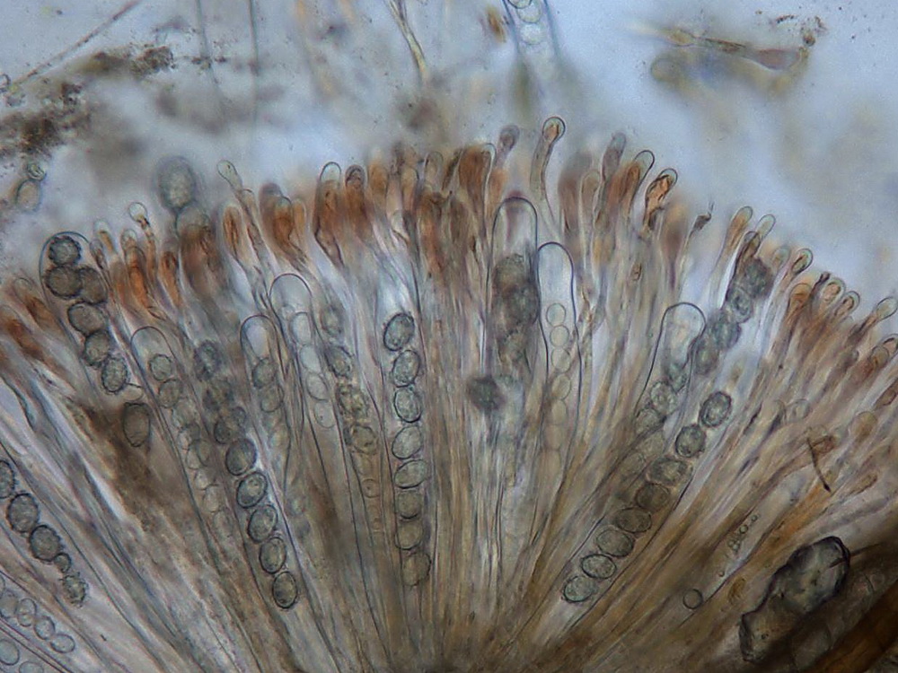
Scutellinia pseudotrechispora
Scutellinia pseudotrechispora (J. Schröt.) Le Gal, Bull. trimest. Soc. mycol. Fr. 78: 213 (1962)
.
Gefunden: am 31.06.2018 MTB 4803/42, Beekerwald, auf Erde im Laubwald
leg. J. Maassen, det. H.Bender
leg. J. Maassen, det. H.Bender





