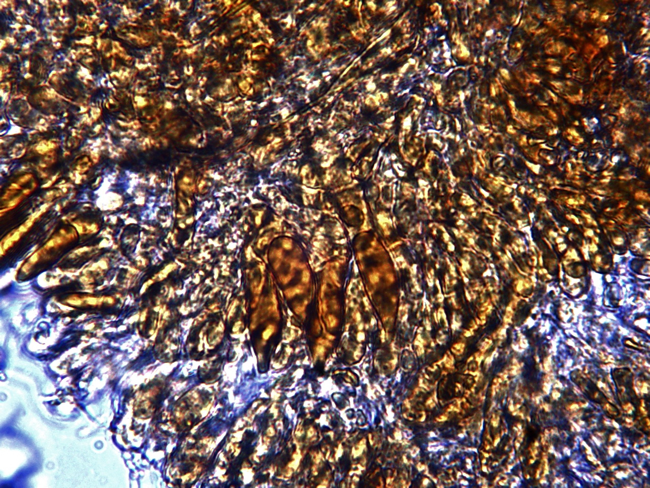
Peniophorella praetermissa (P. Karst.) K.H. Larss., Mycol. Res. 111(2): 192 (2007)
= Hyphoderma praetermissum (P. Karst.) J. Erikss. & Å. Strid, in Eriksson & Ryvarden,
Gefunden: häufige Art, Mönchengladbach und Umgebung
leg. H.Bender, det. H.Bender
leg. H.Bender, det. H.Bender











